あきる野市野辺 新築戸建 2号棟!の基本情報
- 物件名
- あきる野市野辺 新築戸建 2号棟!
- 価格
- 2,780万円
- 建物面積
- 98.01㎡
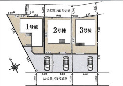
- 土地面積
- 46.43坪(153.50㎡)
- 築年月
- 2025年10月(予定)
- 総戸数
- 3戸
あきる野市野辺 新築戸建 2号棟!の詳細情報
- 設備条件
-
- 設備(その他)
-
-
オール電化
- 駐車場/月額
- 有(1台)/0円
- 土地権利
- 所有権
- 国土法届出
- 不要
- 用途地域
- 第一種低層住居専用
- 取引態様
- 仲介
- 引渡し
- 相談
- 備考
- 歩いて418mの場所に、いなげやがあります。新築戸建ての物件は、室内のレイアウトも自分好みに変更可能です。駅まで徒歩14分と少し離れている物件です。築2年以内の築浅物件です。お客様によって希望条件は異なります。当社ではお客様個人のご希望をお伺いし、それにマッチした不動産をご紹介致しております。まずはスタッフまでご希望をお申し付けください。
あきる野市野辺 新築戸建 2号棟!のコメント(おすすめポイント)
あきる野市野辺 新築戸建 2号棟!で募集中の物件
周辺施設
-
その他
Coco壱番屋
398m(5分)
-
スーパー
いなげや
418m(6分)
-
信用金庫
多摩信用金庫 秋川支店
571m(8分)
-
小学校
東秋留小学校
593m(8分)
-
ドラッグストア
サンドラッグ
687m(9分)
-
ショッピングセンター
コピオあきる野
695m(9分)
-
コンビニエンスストア
ファミリーマート
770m(10分)
-
コンビニエンスストア
ローソン
774m(10分)
-
郵便局
郵便局
781m(10分)
-
郵便局
秋川野辺郵便局
799m(10分)
-
駅
JR五日市線『東秋留』駅
1113m(14分)
-
スーパー
JAあきがわ 経済センタ-マイム
1158m(15分)
-
小学校
南秋留小学校
1236m(16分)
-
小学校
前田小学校
1354m(17分)
-
公園
秋留台公園
1362m(18分)
あきる野市野辺 新築戸建 2号棟!


